Łódź, Polesie, Huta Jagodnicka, rej. Huta Jagodnica

Działka na sprzedaż

962,00 m2 414,76 zł/m2

399 000 zł

nowa oferta
Ewelina Berensztajn

Właściciel

Opis nieruchomości

ATRAKCYJNA NAROŻNA działka budowlana na Złotnie, w rejonie ulicy Huta Jagodnica,
MEDIA - prąd  skrzynka przy działce, woda w ulicy,

AKTUALNA DECYZJA WZ - o warunkach zabudowy - można od razu wystąpić o pozwolenie na budowę !!!
Cena do negocjacji !!! 


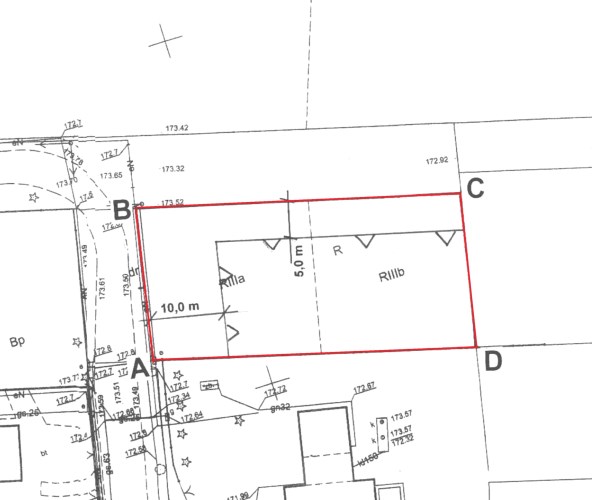
- KSZTAŁT/WYMIARY DZIAŁKI:
prostokąta o wymiarach 21,2 x 44,5 m,

- STRONA ŚWIATA OD WJAZDU:
zach lub płn.

- UKSZTAŁTOWANIE TERENU:
działka z lekkim spadkiem w kierunku rzeczki, tj. w kierunku wsch.,

- PRZEZNACZENIE:
brak miejscowego planu zagospodarowania przestrzennego, jest aktualna decyzja wz na budowę domu jednorodzinnego (szczegóły w biurze), podstawowe parametry:
- nieprzekraczalna linia zabudowy 5m od północnej granicy działki i 10m od zach granicy działki - patrz mapkę załącznik do decyzji wz,
- wskaźnik powierzchni zabudowy w stosunku do powierzchni działki od 0,02 do 0,14 - powierzchnia zabudowy planowanego domu nie więcej niż 135m,
- szerokość elewacji frontowej od zachodniej granicy działki 0d 9 do 14m,
- wysokość górnej krawędzi elewacji frontowej do 4m.

- UZBROJENIE TERENU: media - prąd przy działce - skrzynka, woda w ulicy ok. 30m od granicy działki,

- OGRODZENIE:
działka nieogrodzona, ogrodzona jest zabudowana działka sąsiednia od strony południowej,

- ZABUDOWA:
brak,

- NASADZENIA: nieliczne samosiejki,

- OTOCZENIE/STAN ZURBANIZOWANIA:
działka zlokalizowana na osiedlu Złotno, w otoczeniu przeważnie nowe domy, w sąsiedztwie od strony południowej duża działka z nowym domem jednorodzinnym, po drugiej stronie ulicy od strony północnej obecnie tereny upraw rolnych, ale prawdopodobnie będzie tam osiedle małych segmentów, od strony wschodniej działki niezabudowane, za nimi w odległości, ok. 150m rzeczka Jasieniec,

- DOJAZD: dojazd drogą asfaltową ul. Huta Jagodnica, ostatnie ok. 200m droga utwardzona szutrowa,

- KOMUNIKACJA: miejska komunikacja autobusowa w ul. Złotno ok. 1000m od działki, szybki dojazd do trasy S-14 (węzeł Konstantynów),

- UWAGA ! 
    Oferty prezentowane na naszych stronach nie stanowią oferty w rozumieniu Kodeksu Cywilnego, a są jedynie zaproszeniem do rokowań. Podane dane mają charakter wyłącznie informacyjny i mogą odbiegać od stanu faktycznego. Opis obiektu został sporządzony na podstawie informacji przekazanych przez Oferującego. Oferta może być już nieaktualna. Prosimy o telefon.

Nota prawna

Opis oferty zawarty na stronie internetowej sporządzany jest na podstawie oględzin nieruchomości oraz informacji uzyskanych od właściciela, może podlegać aktualizacji i nie stanowi oferty określonej w art. 66 i następnych K.C.

Szczegóły

Symbol oferty PRO-GS-11108
Powierzchnia 962 m²
Przeznaczenie działki budowlana
Standard
Wymiary działki 21,2x44,7 m
Stan prawny własność
Zagosp. działki niezagospodarowana
Ukształtowanie działki lekko nachylona
Kształt działki prostokąt
Ogrodzenie działki brak
Woda w ulicy
Otoczenie działki zabudowane
Prąd na działce

Podobne oferty

Działka na sprzedaż - Łódź, Widzew, Nowosolna, Brzezińska
działka na sprzedaż - Łódź, Widzew, Nowosolna, Brzezińska

PRO-GS-11092

Łódź, Widzew, Nowosolna,…
działka na sprzedaż

1 256 m²

440 000
350,32 zł/m2
nowa oferta
Dodaj
do notatnika
Działka na sprzedaż - Łódź, Polesie, Huta Jagodnicka, rej. Huta Jagodnica
działka na sprzedaż - Łódź, Polesie, Huta Jagodnicka, rej. Huta Jagodnica

PRO-GS-11075

Łódź, Polesie, Huta…
działka na sprzedaż

962 m²

399 000
414,76 zł/m2
nowa oferta
Dodaj
do notatnika
Działka na sprzedaż - Łódź
działka na sprzedaż - Łódź

COSY-GS-114

Łódź
działka na sprzedaż

1 547 m²

456 000
294,76 zł/m2
nowa oferta
Dodaj
do notatnika
PLN
PLN
PLN
PLN
PLN
PLN
PLN
%
PLN
PLN
PLN

PLN

Dane:

PLN
%

Wynik:

PLN
pierwsza rata
ostatnia rata

Napisz do nas

Proszę wypełnić to pole
Proszę wypełnić to pole
Proszę wypełnić to pole
Proszę wypełnić to pole
Trwa wysyłanie...

Ta strona wykorzystuje pliki cookies w celach statystycznych oraz w celu dostosowania naszych serwisów do indywidualnych potrzeb klientów. Zmiany ustawień dotyczących plików cookie można dokonać w dowolnej chwili modyfikując ustawienia przeglądarki. Korzystanie z tej strony bez zmian ustawień dotyczących cookies oznacza, że będą one zapisane w pamięci urządzenia.

rozumiem